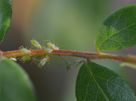
..fast unbemerkt bei emsigem Tun

Sie hatten sich, so sah ich es, nur einen einzelnen Zweigstrang ausgesucht und rückten dem Pflanzensaft dort als Gruppe zu Leibe

..fast unbemerkt bei emsigem Tun

Sie hatten sich, so sah ich es, nur einen einzelnen Zweigstrang ausgesucht und rückten dem Pflanzensaft dort als Gruppe zu Leibe

Super Aufnahmen!
LikeLike
Danke Dir 🙂
LikeLike
Mit Makro die Welt neu entdecken! Ich glaube, das möchte ich auch.
LikeLike
Ja, es lohnt sich. Allmählich beherrsche ich dieses Teil. Es hört nicht auf, zu faszinieren.
Ursprung meines Interesses waren ja mikroskopische Proben im optischen Museum Jena.
LikeLike
das zweite Bild hat es mir angetan!
LikeLiked by 1 person
Danke Dir!
Dieser unbedingte (unstillbare) DURST dieser kleinen Insekten…
LikeLiked by 1 person
Kann mich nur anschließen. Ganz toll !!!
LikeLike
Dank Dir 🙂
LikeLike
Faszinierend, das Bild zusammen mit den Rosendornen!
LikeLiked by 1 person
Danke 🙂
LikeLike